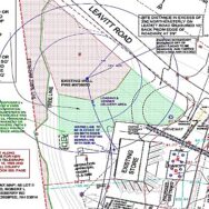
Document purported to be an approved and platted subdivision plan is not so.
Trump administration's DOGE cuts begin to hit locally.
The biology and life history of loons will be the focus of a presentation at Calumet on June 8.
The odds of being arrested are low, but are no longer zero.
Freedom Planning Board will review how submitted documents are handled.
Decision follows a N.H. Department of Justice investigation of unlicensed electrical work at the Leavitt Bay business.
As boating season nears, neither docks nor moorings are approved.
DES has opened a case file on runoff and unapproved shoreland structures at the Ossipee Lake campground.
Even under the ice, cyanobacteria have been blooming in Partridge Lake.
Protecting the environment while planning for town growth is the goal.
Freedom Planning Board continues the "hutnick" discussion to March.
Part of a five-way race for a seat on the Ossipee Select Board.
NEWSLETTERS >